Щитовка на комнатных растениях: как ее заметить и избавиться от вредителя
Только кажется, что комнатные растения защищены от любых опасностей. На самом деле у них много вредителей. К числу самых распространенных и опасных относится щитовка, небольшой, но очень прожорливый паразит. Избавиться от него бывает непросто. Разберемся, как обнаружить поражение и как бороться со щитовкой на комнатных растениях.
Как избавиться от щитовки
Что надо знать о вредителе
Чем он опасен
Пути заражения
Как заметить поражение
Как избавиться от щитовки
— Механическая очистка
— Домашние средства
— Химические препараты
Меры профилактики
Что надо знать о щитовке
Это мелкое насекомое — представитель отряда полужесткокрылых. Оно паразитирует на разных культурах. Водится во всех регионах мира, питается практически любыми растениями. Внешний вид вредителя нетипичный. Его часто принимают за мусор или прилипшие чешуйки. Это происходит, потому что тело взрослой особи накрыто щитком из воска и слипшихся личиночных шкурок. Он надежно укрывает насекомое от воздействия неблагоприятных условий и вредных веществ.
Женские и мужские особи очень сильно различаются. Вылупившиеся из яиц личинки очень подвижны. Они выползают из-под материнского щитка и начинают искать место, где можно питаться. На это у них есть не больше двух суток, потом они погибают от голода. Личинки присасываются к растению, после этого начинается процесс трансформации. Он заканчивается примерно через месяц. За это время у женской особи формируется плотный щиток, атрофируется зрение и возможность передвигаться. Она может высасывать растительный сок и откладывать яйца, двигаться она не может.
Самцы щитовки превращаются в подобие мелких мошек. Они ищут женскую особь для оплодотворения. Живут самцы не больше нескольких дней, потом погибают. Самки живут намного дольше, до нескольких месяцев. Они откладывают яйца под щиток, в одной кладке их может быть до ста штук. Причем неважно, было оплодотворение или нет. Самки способны к откладыванию яиц и без него. Таким образом, колония очень быстро разрастается. Причем она не остается на одном месте, постоянно вылупляющиеся подвижные личинки способны преодолевать достаточно большие расстояния.
Чем опасен вредитель
У насекомого-паразита сосущий ротовой аппарат. Он пробивает оболочку мягких тканей растения и присасывается к нему. Питается клеточным соком, активно высасывает его из разных частей растения. При сильном поражении отмирают листья и побеги, в запущенных случаях наступает гибель всего организма. В процессе жизнедеятельности щитовка вырабатывает падь, ее еще называют медвяной росой. Это липкая жидкость со сладким вкусом. Она образует клейкий налет, который покрывает листья и стебли. Он становится благоприятной средой для развития грибков-патогенов. Кроме того, налет закупоривает устьица, препятствует нормальному дыханию, что еще больше угнетает растение. Его иммунитет ослабевает, что ведет к заболеваниям и гибели.
Пути заражения
Щитовка коварна, не всегда понятно, откуда она появляется. Однако есть несколько путей, которые она использует чаще всего.
- Личинки «приезжают» в дом с зеленью из сада или продуктами. Они могут цепляться за одежду или обувь.
- Покупка зараженного растения.
- Личинки могут быть занесены ветром в открытое окошко, дверь или форточку.
- Домашние питомцы могут принести с улицы вредителей на лапах или на шерсти.
Надо знать, что щитовка полифаг. Это означает, что она питается любыми культурами, однако предпочитает только некоторые из них. Больше других она любит монстеры, розы, пальмы, орхидеи, все цитрусовые, спатифиллумы, пальмы, папоротники и фикусы. С ними нужно быть особенно внимательным, регулярно осматривать растения.
Как понять, что на комнатных цветах поселилась щитовка
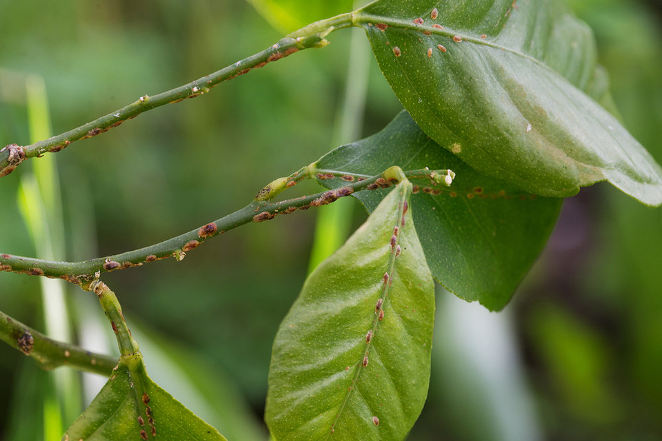
Вредитель не прячется, поселяется на любой части растения. Тем не менее на ранней стадии заражение замечают не всегда. Объясняется это нетипичным видом паразита. Разберемся, как выглядит щитовка на комнатных растениях. Сначала на стебельках или листьях появляются небольшие зеленовато-коричневые бугорочки или точки. Постепенно они разрастаются и сливаются в общий нарост. Появляются они на открытых участках стебля, на верхней части листовых пластин. Наросты состоят из твердых чешуек. Они с трудом отрываются от стебля. Каждая из таких чешуек — щиток, под которым скрывается насекомое.
В некоторых случаях вредитель прячется. Например, у суккулентов он обычно поселяется на внутренней части листа. Там его заметить невозможно, приходится ориентироваться на другие признаки. К ним относится появление липкого налета. Его количество постепенно увеличивается. Растение замедляет рост, выглядит больным. Листва и молодые побеги прекращают развитие, желтеют и вянут. Со временем может присоединиться какое-либо заболевание. Обычно это грибковое поражение.
Чем и как бороться со щитовкой на комнатных растениях
Вредитель быстро размножается, если не принимать никаких мер, он расселится на все домашние цветы и постепенно их погубит. Поэтому при первых признаках поражения надо начинать бороться с паразитом. Мы подготовили подборку эффективных методов борьбы со щитовкой на комнатных растениях.
Механическая очистка
Если колония небольшая, проводят очистку куста, вручную убирают щитки паразитов. Сделать это можно влажной салфеткой, смоченной в спирте ватной палочкой. Спирт разрушает воск, однако он слишком агрессивен для молодых побегов и бутонов. Можно помыть растение под горячим душем, намылить его зеленым инсектицидным или хозяйственным мылом. Обязательно надо помыть подоконник, стекло и постирать шторы, около которых стоя куст. Это уничтожит подвижных личинок.
Домашние средства
Лучше всего эти средства работают после механической очистки куста.
Мыльно-масляная эмульсия
Для приготовления эмульсии берут стакан возы и 10 мл любого мыла. Взбивают все до пены, добавляют 30 мл масла, мешают до полного растворения. Почвосмесь в горшке накрывают пленкой, обильно опрыскивают куст. Оставляют на 10-12 часов, после этого тщательно смывают смесь холодной водой. Желательно провести обработку 2-3 раза, перерыв между процедурами неделя.
Мыло плюс керосин
В литре воды растворяют 40 г стружки хозяйственного мыла, тщательно размешивают. Добавляют 5 капель очищенного керосина, перемешивают, опрыскивают пораженный куст. С керосином нужно быть осторожным и соблюдать правила пожаробезопасности.
Чеснок
Берут пять крупных зубков чеснока, очищают, растирают в кашицу. Заливают стаканом воды, настаивают 3-5 часов в темном месте. Фильтруют смесь через трехслойную марлю. Жидкостью обильно опрыскивают растение или берут мягкую кисть и смазывают ей листья и стебли. Вместо чеснока можно взять среднюю по размеру луковицу.
Чистотел
300 г сухого сырья заливают литром крутого кипятка, настаивают двое суток. Жидкость процеживают, обильно опрыскивают пораженный куст.
Лук
Репчатый лук очищают, измельчают до состояния пюре. Этой кашицей смазывают участки, с которых убрали присосавшихся щитовок.
Химическими препаратами
Если щитовка поселилась на домашних цветах, проще всего вывести ее специальными препаратами-инсектицидами. Важно правильно подобрать средство. У насекомого есть надежная защита в виде слабо проницаемого для химикатов щитка. Поэтому нужны системные препараты, которые попадут в клеточный сок пораженного куста и уничтожат насекомое. Можно комбинировать их с контактными средствами. Эффективны и биопрепараты. Чтобы закрепить результат, через неделю обработку стоит повторить, но выбрать для этого уже другие препараты. Это предотвратит привыкание паразитов.
Профилактика появления щитовки
Чтобы не пришлось бороться с опасным вредителем, стоит заняться профилактикой его появления.
- Всегда помещайте на карантин новые растения. Он должен длиться не меньше двух недель.
- Регулярно осматривайте домашние цветы, чтобы вовремя заметить первые признаки поражения.
- Не пренебрегайте правилами ухода, чтобы растения были сильными и здоровыми.
- Убирайте увядшие листья и цветки. Это хорошее укрытие для вредителей.
- Регулярно мойте растение под душем.
Щитовка опасный враг. Для борьбы с ним лучше всего выбирать комплексные методы. Прежде всего надо механически очистить пораженный куст от паразитов. После этого обработать его одним из домашних средств. Если колония большая, применяют химикаты или биопрепараты. Одной обработки будет явно недостаточно. Ее нужно будет повторить несколько раз, чтобы уничтожить всю колонию, включая личинки.


Пока комментариев нет. Начните обсуждение!